 
			
				
				
				
				Nuevo
					
				
				 
			
			
				
			
			 
			Inundaciones en Santiago de los Caballeros
 
			Inundaciones en Santiago de los Caballeros
 
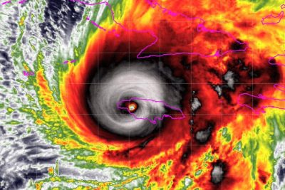
			Huracán Melissa Categoria 5 azota Jamaica
 
			Continúan las lluvias por el Huracán Melissa
 
			Melvin TV es diagnosticado con Cancer de Colon Avanzado
 
			Tormenta Melissa: Cuando la Incertidumbre se Vuelve Agua Fría
 
			Se registra Tiroteo en la UASD
 
			Solicitar Tarjeta Joven del Ministerio de la Juventud
 
			El Reperpero programa de tv con comedia para adultos
 
			Mantequilla activo en el negocio financiero con Dinero 3.0
 
			Panorama lluvioso con descargas eléctricas en Santo Domingo