 
			
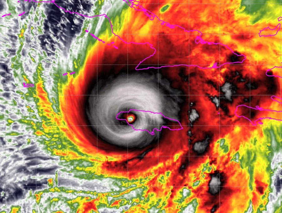
Huracán Melissa Categoria 5 azota Jamaica

El poderoso huracán Melissa se encuentra este lunes sobre el sur de Jamaica y se desplaza hacia el norte-nordeste a unos 15 kilómetros por hora, con vientos máximos sostenidos de 295 km/h y rachas superiores a los 300 km/h, según informó el Instituto de Meteorología de Cuba. A las 12.00 hora local, su centro se ubicaba a unos 205 kilómetros al sur de Cabo Cruz, en Granma, y a 320 kilómetros al suroeste de Santiago de Cuba, donde ya comienzan a sentirse los efectos del sistema.
Durante la tarde y la noche se espera un aumento considerable de las lluvias, los vientos y el oleaje en las provincias orientales. En zonas montañosas de Granma, Santiago de Cuba y Holguín podrían registrarse acumulados de lluvia superiores a los 400 milímetros, mientras que en la costa sur se pronostican marejadas fuertes con olas de entre cuatro y seis metros.
 
			
